客户试驾小米SU7出事故赔偿5000元 博主科普:不用全赔

安然网5月22日消息,买车之前总要试一试,做到心里有数才行,那么在试驾过程中很可能出现突发情况,比如剐蹭,那么这个时候该如何赔偿呢?

客户试驾小米SU7出事故赔偿5000元 博主科普:不用全赔

今日,知名汽车博主“百车全说三刀”发布微博称,一客户在试驾小米SU7倒车时不慎撞了后车,定损5000元,销售一阵忽悠,客户就把5000给付了,现在后悔了,到处打电话投诉。

客户试驾小米SU7出事故赔偿5000元 博主科普:不用全赔

客户试驾小米SU7出事故赔偿5000元 博主科普:不用全赔

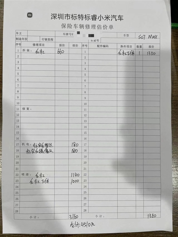
从博主发布的单据和聊天记录看,事故车辆小米SU7 Max需要拆装后杠,报价660元,更换后杠下体,报价1350元,同时将对后杠和后杠下体喷漆,报价1140元和1000元。

此外还需要标定后雷达和后摄像头,标价均为180元,合计需要4510元,而该客户最终支付了5000元,还包含了误工费和代步计费。

博主称:我节目里说过很多次,试驾是以销售为目的的商业行为,你即使把试驾车撞了,也不用全赔。

通常做法:1000以内私了,付钱走人;1000以上让对方走保险,你赔保费上涨幅度,4S店不愿意,你掉头走人,让对方起诉,对方不让你走,就打110报警。

在这条微博的评论区,此次事件的当事人现身,并表示事情得到了解决,保险公司承担了损失,共计7000元左右,自己支付的5000元已退回

客户试驾小米SU7出事故赔偿5000元 博主科普:不用全赔

客户试驾小米SU7出事故赔偿5000元 博主科普:不用全赔

各位学到了吗,以后即便是遇到了类似的情况,也不用太过担心,按照博主教授的方法进行即可。

【本文结束】如需转载请务必注明出处:安然网

责任编辑:落木

– THE END –

0
分享海报

评论0

请先
欢迎您光临安然网,如有侵权,请提供相关版权证明发给本站,审核属实后将会立即删除。MAIL:zgs5516@163.com
显示验证码
没有账号?注册  忘记密码?

社交账号快速登录

'); })();